PRESENTATION OUTLINE
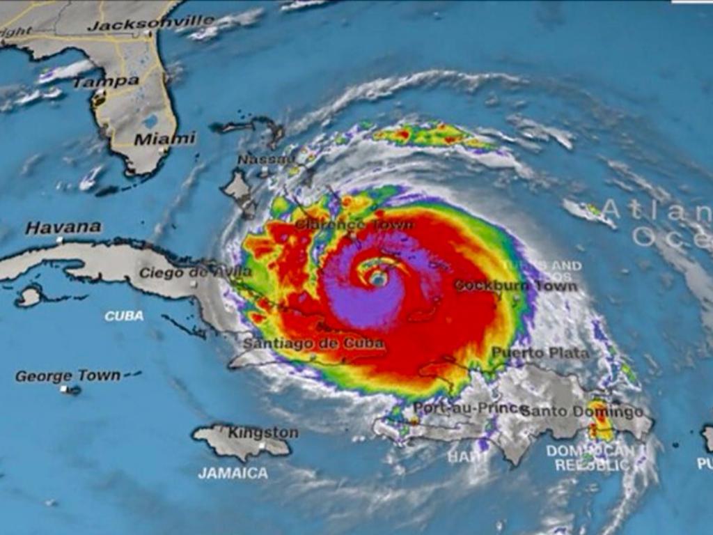
Hurricane Irma is one of the most massive hurricanes in 2017.it also destroyed almost a whole state.it was also partly destroyed in the Caribbean and other islands near Florida.
A lot of people thought that a hurricane would never come,so the damage that happen to there homes the insurance would not cover it.
Many people watch there homes suffer in the hurricane
A church helped out after the storm to give them supplies
and money.
the total
cost is
$64.66 billion l
I Got MY INFORMATION FROM KID FACTS ON HURRICANE IRMA
HERE ARE SOME EXRA PHOTOGRAPHS